Property Description

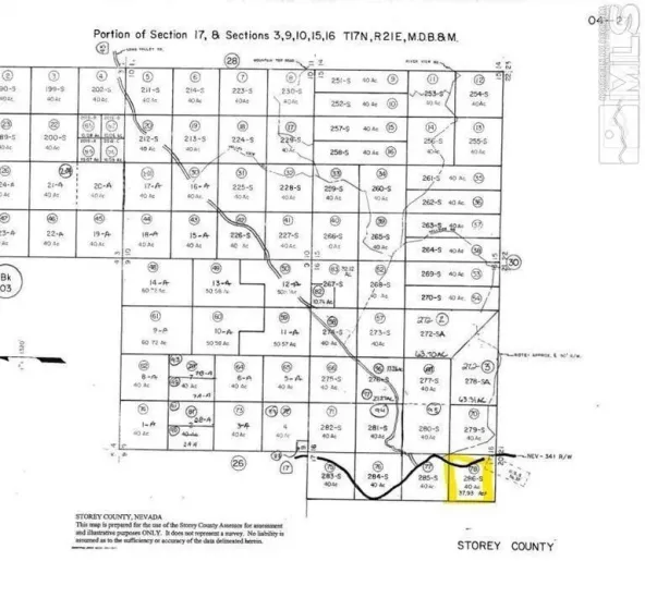
39.48 acres of land in Virginia City Highlands. This property has absolutely beautiful views., Buyer to do their own due diligence. Buyer and buyers agent to verify all information.

Features
: Electricity Not Available, Sewer Not Available, Water Not Available, None
: South Meadows To Double R Blvd
Address Map
US
NV
Storey
Reno
89521
SR 341 286S
Geiger Grade
0
W120° 21' 36.1''
N39° 20' 46.1''
Neighborhood
Gallagher, Hugh
Virginia City
Virginia City
Additional Info
eXp Realty
Katherine Gillespie
09-19-2025 05:24:04
Active
02-08-2023
8740
1673-o
02-07-2023
$0
02-06-2026 20:03:41
$0
004-271-78
$0
$0

Land Residential

Geiger Grade SR 341 286S, Reno, Nevada 89521

39.48 Acre
$130,000
Listing ID #230001056
Basic Details
Property Type : Land
Listing Type : Residential
Listing ID : 230001056
Serial Number : 20250410030709606350000000
Price : $130,000
View : Trees
Year Built : 0
Lot Area : 39.48 Acre
Status : Active
Agent info
Silver State Homes of Nevada
4600 Kietzke Lane, Ste O-269, Reno, NV 89502
Contact Agent