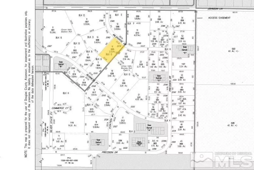
Property Description

Prime 2.12 acres of Industrial zoned land. Located off Johnson Lane in Business Park. Property has Utilities , City Water / sewer, Phone / Cable at site.

Features
: Cable Available, Electricity Available, Natural Gas Available, Sewer Available, Water Available, Phone Available, Underground Utilities
Address Map
US
NV
Douglas
Minden
Carson Valley Business Park
89423
Wildhorse
2578
0
W120° 14' 3.8''
N38° 57' 15.3''
Neighborhood
Pinon Hills
Douglas
Carson Valley
Additional Info
Coldwell Banker Select RE M
Denise Jorgensen-Feist
04-10-2025 08:40:54
Active
02-01-2023
627502363
627500030-o
02-01-2023
$0
05-28-2025 11:38:21
$0
132004001005
$0
$0

Land Residential

2578 Wildhorse, Minden, Nevada 89423

2.12 Acre
$459,000
Listing ID #230000813
Basic Details
Property Type : Land
Listing Type : Residential
Listing ID : 230000813
Serial Number : 20250410083552830105000000
Price : $459,000
View : Trees
Year Built : 0
Lot Area : 2.12 Acre
Status : Active
Agent info
Silver State Homes of Nevada
4600 Kietzke Lane, Ste O-269, Reno, NV 89502
Contact Agent